The Project
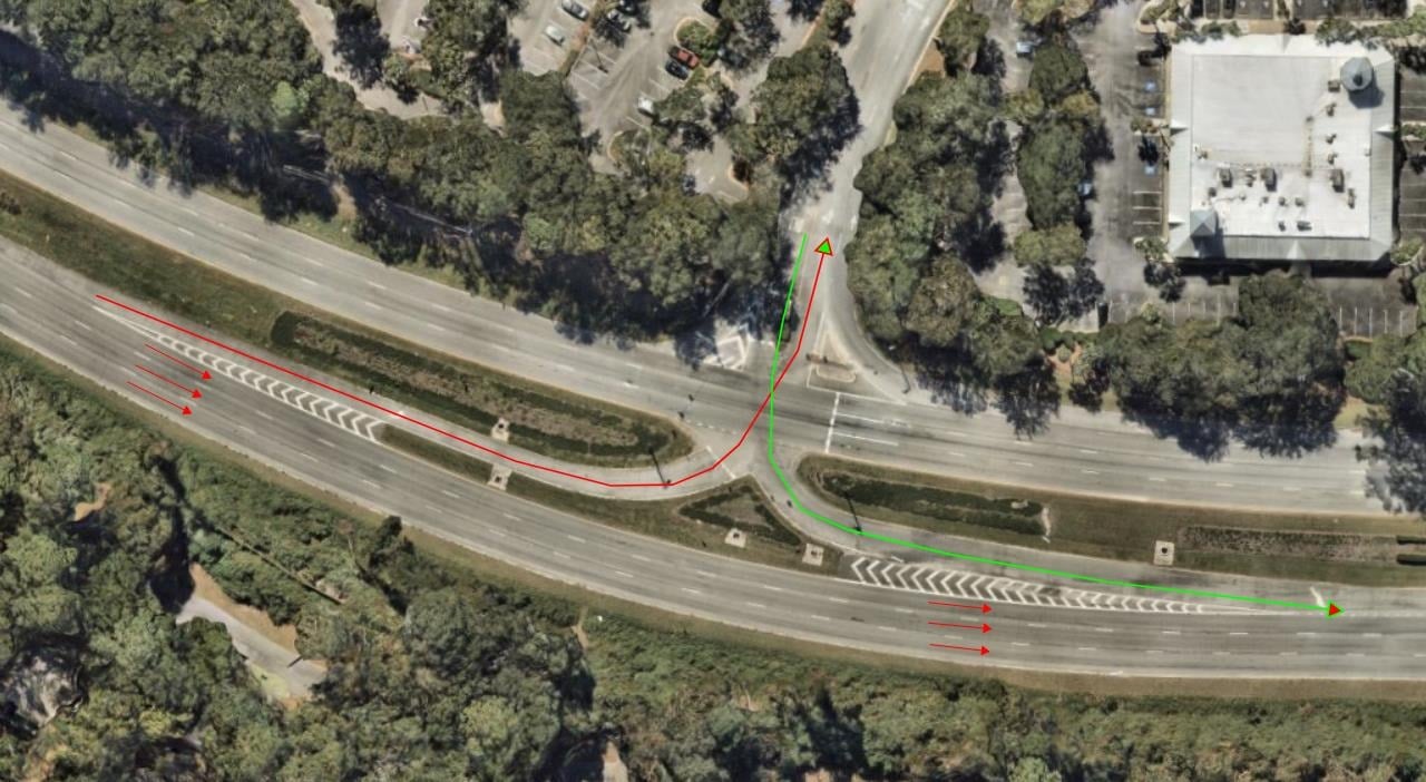
RK&K developed conceptual design and cost estimates for six intersections throughout Union County. These intersections had a combination of safety and congestion issues that required improvements to the existing roadways. This study involved a traffic engineering and safety analysis of each intersection to develop two alternate designs per location. Following the traffic analysis, each alternate was laid out horizontally and vertically to determine the impacts to Right-of-Way, utilities, and natural features.
A detailed, concept-level construction estimate was developed for each alternate to allow the County and each municipality to select the improvement that fit their needs best. Once a preferred design was selected for each site, the conceptual designs and cost estimates were used for grant applications through the Charlotte Regional Transportation Planning Organization (CRTPO) and NCDOT.
RK&K developed conceptual design and cost estimates for six intersections throughout Union County. These intersections had a combination of safety and congestion issues that required improvements to the existing roadways. This study involved a traffic engineering and safety analysis of each intersection to develop two alternate designs per location. Following the traffic analysis, each alternate was laid out horizontally and vertically to determine the impacts to Right-of-Way, utilities, and natural features.
A detailed, concept-level construction estimate was developed for each alternate to allow the County and each municipality to select the improvement that fit their needs best. Once a preferred design was selected for each site, the conceptual designs and cost estimates were used for grant applications through the Charlotte Regional Transportation Planning Organization (CRTPO) and NCDOT.
Market
- Municipal
